Description
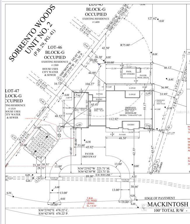
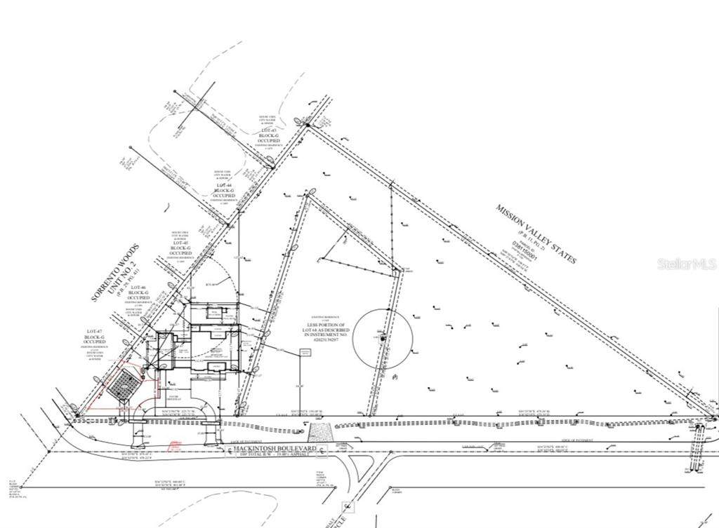
DEVELOPMENT Opportunity. A chance to own over 3 acres less than 10 minutes from Nokomis Beach. Seller has done considerable research with Sarasota country exploring different building opportunities for this property. You can either build a single home residence with well and septic or develop the property by splitting into 3 parcels and bringing sewer and water. This will allow for construction of 3 separate homes. See attached Site Plans. Excellent location to I 75 and quickly developing Nokomis Corridor. Close proximity to Sarasota Memoria Hospital. Downtown Venice is just over 5 miles. Use this opportunity to position yourself in the center of the fast growing and desirable locale. Survey and Proposed Development docs are available upon request.
-
0BEDS
-
3.23ACRES
-
0BATHS
-
01/2 BATHS
School Information
Description
DEVELOPMENT Opportunity. A chance to own over 3 acres less than 10 minutes from Nokomis Beach. Seller has done considerable research with Sarasota country exploring different building opportunities for this property. You can either build a single home residence with well and septic or develop the property by splitting into 3 parcels and bringing sewer and water. This will allow for construction of 3 separate homes. See attached Site Plans. Excellent location to I 75 and quickly developing Nokomis Corridor. Close proximity to Sarasota Memoria Hospital. Downtown Venice is just over 5 miles. Use this opportunity to position yourself in the center of the fast growing and desirable locale. Survey and Proposed Development docs are available upon request.
© 2026 My Florida Regional MLS DBA Stellar MLS. All rights reserved. All listings displayed pursuant to IDX. All listing information is deemed reliable but not guaranteed and should be independently verified through personal inspection by appropriate professionals. Listings displayed on this website may be subject to prior sale or removal from sale; availability of any listing should always be independently verified. Listing information is provided for consumers personal, non-commercial use, solely to identify potential properties for potential purchase; all other use is strictly prohibited and may violate relevant federal and state law. Data last updated 2026-02-09T23:43:14.06.
